

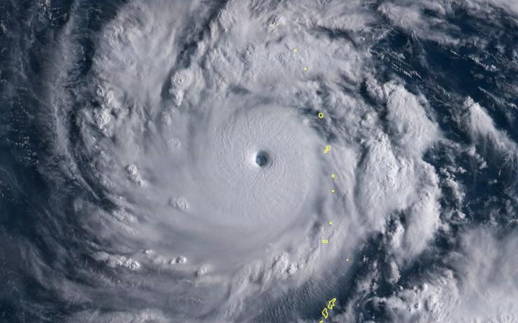
Alors que le puissant typhon Jebi frappe le Japon en ce moment, de multiples témoignages vidéos fleurissent déjà sur twitter. Le 21ème typhon de l'année est malheureusement particulièrement violent. Les experts météorologues estiment même qu'il pourrait être le plus puissant depuis 1993 dans l'Archipel, soit 25 ans. Les rafales de vent atteignent 220 km/h par endroit et les pluies sont extrêmement fortes. Il est encore trop tôt pour connaître l'importance des dégâts mais les vidéos postées aujourd'hui expriment bien la force de Jebi et dévoilent les potentiels dommages que son passage pourrait causer. Les compagnies aériennes ont ainsi déjà annulé plus de 650 vols pour des raisons évidentes de sécurité et de précaution. Le service des shinkansen est lui aussi très perturbé entre Tokyo et Hiroshima. Dans les zones les plus touchées, les employés et les élèves ont été priés de rester chez eux. Pour en savoir plus sur Jebi, cliquez-ici.
Sur le même sujet

















