

Dès aujourd'hui, le Japon s'apprête à faire face à un nouveau puissant typhon via le sud-ouest du pays. Les autorités locales ont averti la population de la forte probabilité d'importantes vagues, d'inondations et de glissements de terrain. Certaines régions touchées par des inondations meurtrières, plus tôt dans l'année, ne seront pas épargnées.
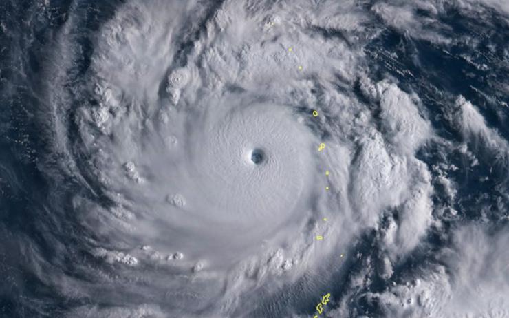
La saison des typhons dure et ne propose guère de répit au Japon. Le typhon Jebi succède au typhon Cimaron qui a frappé le pays le 23 août dernier, ne provoquant que peu de dommages malgré de violentes pluies. Selon l'Agence météorologique japonaise, Jebi devrait atteindre l'île principale mardi. Des vents ont été mesurés à plus de 252 km/h. L'Agence a confirmé la puissance du typhon et le trajet potentiel de Jebi, d'ouest en est de l'Archipel.
L'itinéraire du typhon devrait donc l'amener à traverser la région de Chugoku (ouest de Honshū). Cette région a malheureusement été touchée, en juillet dernier, par des inondations et des glissements de terrain meurtriers qui ont causé la mort d'environ 220 personnes. Selon les autorités locales et les agences météorologiques, Jebi serait de loin le plus puissant typhon à frapper cette année.

La population locale a été avertie de l'arrivée imminente de Jebi afin de se préparer aux sempiternels dégâts matériels et catastrophes naturelles qui peuvent en découler. Les 27 000 habitants de Nagato, à l'extrémité ouest de Honshū, ont reçu l'ordre temporaire d'évacuer leur habitation, ce samedi, suite à des pluies torrentielles annonçant l'arrivée du typhon, formé dans le pacifique le 27 août dernier.
De catégorie cinq, Jebi devrait heureusement baisser en intensité avant de toucher les côtes du Japon, même si des dégâts importants sont à redouter. Des interruptions sont également à prévoir pour les nombreux moyens de transports des régions touchées, comme, par exemple, les ferries et certaines lignes de train. Le site spécialisé Accuweather anticipe également, pour demain, des complications dans l'organisation des vols via l'aéroport de Tokyo Haneda.
Selon les dernières estimations météorologiques, Tokyo devrait subir la traversée de Jebi dans la journée, ce mardi. Après son passage au niveau du Japon, le typhon Jebi se dissipera en fin de semaine vers la pointe sud-est de la Russie.
Sur le même sujet

















