Les autorités de Floride multiplient mardi les appels à évacuer à l'adresse de la population avant l'arrivée de Milton, un ouragan "extrêmement dangereux" qui doit atteindre les côtes de cette péninsule du sud-est des Etats-Unis dans la nuit de mercredi à jeudi.


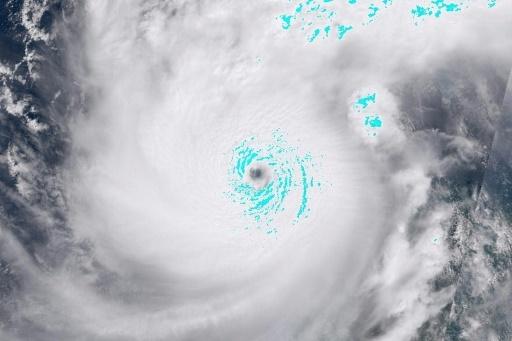
L'ouragan Milton continue mercredi de se rapprocher en catégorie maximale de la Floride, où il doit toucher terre dans la nuit, ce qui pourrait être "la pire tempête" à frapper cette péninsule "en un siècle" selon le président Joe Biden.
Milton est repassé mardi en catégorie 5 sur l'échelle Saffir-Simpson, la plus élevée - après avoir été rétrogradé un temps en catégorie 4.
Il se trouvait mercredi matin (09H00 GMT) à 485 km au sud-ouest de Tampa, une ville de la côte ouest de Floride, avec des vents soutenus atteignant 260 km/h, selon le Centre national des ouragans américain (NHC).
Milton devrait toucher terre dans la nuit de mercredi à jeudi et "devrait rester un ouragan majeur extrêmement dangereux lorsqu'il atteindra la côte ouest-centrale de la Floride", selon le NHC.
Ce pourrait être "la pire tempête en Floride en un siècle", a averti mardi Joe Biden, en marge d'une réunion à la Maison Blanche sur le sujet.
"Vous devez évacuer maintenant, c'est une question de vie ou de mort", a lancé le président américain à l'intention des habitants du troisième Etat le plus peuplé du pays.
Signe de la gravité de la situation, la Maison Blanche a annoncé que Joe Biden avait renoncé à se rendre comme prévu en fin de semaine en Allemagne puis en Angola.
- "Tout le monde s'en va" -

L'arrivée de Milton survient alors que la péninsule de Floride a déjà été affectée fin septembre par le passage d'un autre ouragan, Hélène.
Ce dernier a fait au moins 235 morts à travers le sud-est des Etats-Unis et provoqué des dégâts considérables.
Le changement climatique rend plus probable l'intensification rapide des tempêtes et augmente le risque d'ouragans plus puissants en réchauffant les eaux des mers et des océans, selon les scientifiques.
Les températures de l'Atlantique nord évoluent sans discontinuer depuis plus d'un an à des niveaux de chaleur record, selon des données de l'observatoire météorologique américain (NOAA).
Selon un rapport publié mercredi par le groupe World Weather Attribution (WWA), les pluies torrentielles et les vents puissants d'Hélène ont été rendus 10% plus intenses par le changement climatique.
Des tempêtes de l'ampleur de l'ouragan Hélène étaient auparavant prévues une fois tous les 130 ans, alors qu'aujourd'hui leur probabilité est plus proche d'une fois tous les 53 ans, en moyenne.

En Floride, des générateurs, de la nourriture, de l'eau et des bâches ont été distribuées, alors que de nombreux habitants prévoient de quitter les lieux.
"Tout le monde s'en va. Je vais partir, pas tout de suite mais probablement plus tard dans la soirée, juste pour être prudent car j'ai des enfants", a confié mardi à l'AFP Sam Lee, un plombier de 43 ans.
John Gomez, 75 ans, a lui ignoré les conseils des autorités et fait le voyage depuis Chicago pour tenter de sauver une deuxième maison qu'il possède en Floride. "Je pense qu'il vaut mieux être ici au cas où quelque chose arriverait", a-t-il dit.
- "Aucune empathie" -
Katie, la trentaine, a évacué la ville côtière de St Petersburg avec son fils de cinq ans et son chien pour rejoindre Orlando, dans les terres. L'ouragan Hélène avait inondé sa maison il y a deux semaines. "Je ne prends pas de risque cette fois-ci", dit-elle à l'AFP.
A Orlando, grande ville touristique du centre de la Floride, Disney a annoncé la fermeture de ses parcs d'attraction à partir de 13H00 mercredi (17H00 GMT).

En pleine campagne présidentielle, ces ouragans ont pris un tournant politique. Après le passage d'Hélène, le candidat républicain Donald Trump n'avait pas tardé à accuser l'Etat fédéral, dirigé par les démocrates, d'avoir fait trop peu, trop tard, pour porter assistance aux sinistrés.
Le républicain avait notamment accusé les démocrates d'avoir "volé l'argent" de l'agence fédérale de réponse aux catastrophes naturelles (Fema), "afin de pouvoir le donner à leurs immigrés illégaux".
"N'avez-vous donc aucune empathie pour la souffrance des gens?", lui a répondu sa rivale démocrate au scrutin de novembre, Kamala Harris, lors d'une interview mardi soir.
Sur le même sujet















